Danger de l'Huile essentielle de Laurier Noble

Le Danger de l'Huile essentielle de Laurier Noble

Aujourd’hui, on voit le danger de l’huile essentielle de Laurier Noble. L’huile essentielle contient toujours plus de principes actifs que les autres formes de la plante. Cette concentration peut présenter certains risques. Par exemple, des plantes parfaitement comestibles peuvent devenir dangereuses car les concentrations en principes actifs sont beaucoup trop importantes.

Mais avant de voir quels sont les potentiels dangers de l’huile essentielle de Laurier Noble, il faut que je vous fasse quelques précisions. Vous savez, il existe plusieurs espèces de Lauriers. Alors, pour être sûr que nous parlons de la même plante, je vais vous faire une rapide présentation du Laurier Noble.

Quiz botanique sur les plantes sauvages


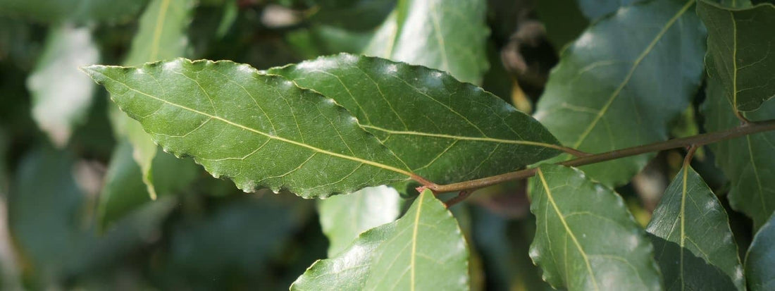
Présentation du Laurier Noble


Danger de l'Huile essentielle de Laurier Noble

Laurier Noble, une plante médicinale intéressante – Source Photo

Le Laurier Noble est un véritable Laurier contrairement au Laurier du Caucase ou encore le Laurier Rose et le Laurier Tin qui appartiennent à d’autres familles Botaniques. Lui, il appartient à la famille des Lauracées.

Le Laurier Noble (Laurus nobilis) est si commun qu’il porte plusieurs noms. Ainsi, Laurier Sauce, Laurier d’Appolon, Laurier des poètes, Laurier vrai ou même encore Laurier Franc, on parle tous de la même espèce : Laurus nobilis.

C’est un arbuste qu’on trouve à l’état sauvage en France. Il pousse en effet dans le sud du pays, en région méditerranéenne ou encore près de la façade atlantique puisqu’il n’aime pas les hivers trop froids. Pourtant, grâce à son feuillage persistant, on l’utilise aussi en tant que plante ornementale dans les jardins dans des villes plus au nord de ces régions.

Le Laurier Noble s’utilise aussi dans la cuisine. Notamment pour parfumer les plats grâce à ses feuilles hautement aromatiques. Le Laurier Noble est aussi une des plantes médicinales les plus importantes de la pharmacopée française.

Le Laurier Noble possède en effet de nombreuses propriétés. Parmi ses bienfaits, il aidera à la digestion, il aura également un impact positif sur l’appareil respiratoire ou encore des vertus anti fatigue et antiseptique.

On note toutefois une certaine toxicité du Laurier Sauce qui peut faire penser que les feuilles fraîches de Laurier Sauce peuvent devenir problématiques.

Ainsi, avec cette petite toxicité, on peut penser au danger de l’Huile essentielle de Laurier Noble. Cette dernière est forcément plus chargée en principes actifs. C’est donc ce que nous allons voir dans la prochaine section.


Toxicité de l’Huile Essentielle de Laurier Noble


Oui, l’huile essentielle de Laurier noble peut être dangereuse. Elle peut s’avérer toxique à cause de la haute concentration en substances chimiques contenues en son sein.

Parmi ces substances chimiques on pourrait noter :

  • LINALOL : le linalol est un alcool présent dans le Laurier Noble. Il rentre aussi dans la composition de la majeure partie des huiles essentielles. Dont l’huile essentielle de Laurier Noble. Cette substance chimique n’est pas réellement toxique ou dangereuse. Mais elle peut toutefois provoquer des irritations cutanées, des démangeaisons ou encore une sévère irritation des yeux.

  • GÉRANIOL : le géraniol est un autre alcool qu’on trouve dans le Laurier Noble. Il joue le rôle de répulsif à insectes. Il est aussi légèrement toxique pour l’humain. Ses symptômes ressemblent un peu à ceux du linalol puisqu’il provoque aussi des irritations oculaires et cutanées.

  • EUGÉNOL : l’eugénol est une des substances qu’on trouve dans le Laurier Noble et qui peut endommager le foie à hautes doses. On trouve cette substance aussi dans le Clou de Girofle.

  • 2 COMPOSÉS POTENTIELLEMENT MORTELS : Parmi les composés les plus dangereux du Laurier Noble il y a Terpinène et Phellandrène. Les terpinènes et phellandrènes sont classés comme mortels en cas d’ingestion et de pénétration dans les voies respiratoires. Ils rendent l’huile essentielle de Laurier Noble d’autant plus dangereuse pour la santé.

AUTRES COMPOSANTS :

  • Oxydes terpéniques : 1,8 cinéole (35-50%)
  • Monoterpènes (15-20%) : alpha-pinène (4-6%), bêta-pinène (3-5%), sabinène (4,5%)
  • Monoterpénols (15-20%) : dont le linalol (8-16%) et l’ alpha-terpinéol (1,5 à 4,5%)
  • Esters terpéniques : acétate de terpényle (8-15%)
  • Ethers : méthyleugénol (2-5%)
  • Phénols : eugénol (3%)
  • Lactones (3%)

Bien sûr, cette liste de composants n’est pas exhaustive et ils ne sont pas tous toxiques. Mais, puisque le la Laurier Noble contient plusieurs substances toxiques, voyons maintenant le danger de l’Huile essentielle de Laurier Noble sur la santé.


Danger de l’Huile essentielle de Laurier Noble sur la peau


Le premier danger de l’Huile essentielle de Laurier Noble réside dans sa toxicité sur la peau. Pure, l’huile essentielle de ce Laurier peut provoquer des allergies. Avec notamment des réactions cutanées comme des irritations ou des démangeaisons.

Comme toutes les huiles essentielles, celle du Laurier Noble ne peut pas s’utiliser pure. Vous devez donc de la diluer avant de l’appliquer pendant la peau. Par exemple diluez 10 gouttes d’huile essentielle de Laurier Noble dans une cuillère à café d’huile végétale d’amande douce avant d’appliquer sur le corps).

Aussi, l’huile essentielle de Laurier Noble est fortement déconseillée pour les femmes enceintes ou allaitantes. Les enfants de moins de 8 ans ainsi que les personnes sensibles de devraient pas utiliser cette huile essentielle sur la peau.

Afin de ne pas avoir de problèmes avec l’huile essentielle de Laurier Noble, vous pouvez faire un test cutané dans le pli de votre coude 48 heures avant son utilisation.

Enfin, avant d’appliquer de l’huile essentielle de Laurier Noble sur la peau, pensez à en parler à votre médecin et à vérifier vos antécédents concernant vos allergies.

  • Photo de Couverture appartenant à Monde Végétal.

Laurier sauce Laurus nobilis le reconnaître, l'utiliser, confusion, utilisation

Laurier Sauce (Laurus nobilis) : Identification, Utilisation, Localisation & Confusions

Le Laurier Sauce fait partie des plantes sauvages comestibles les plus connues en France. On l’utilise même en tant qu’aromate dans de nombreux plats. Pourtant, vous êtes loin de tout connaître sur ce fameux Laurier.

Plus d'infos
Laurier du Caucase laurier cerise laurier des haies prunus laurocerasus

Laurier du Caucase (Prunus Laurocerasus) : Identification, Utilisation, Localisation & Confusion

Le Laurier du Caucase fait partie des différentes espèces de Laurier qu’on peut rencontrer dans la Nature. Il peut aussi bien être comestible, toxique et médicinale selon ce qu’on en fait. Alors découvrons-le ensemble.

Plus d'infos
laurier toxique ou laurier comestible laurier tin laurier noble laurier sauce laurier du caucase, laurier du portugal et autres espèces comme les lauriers tin

LAURIER TOXIQUE OU LAURIER COMESTIBLE : ON FAIT LE POINT

Habituellement, on appelle Laurier un peu trop d’arbustes ornementaux à mon goût. Il n’est donc pas facile de savoir quel laurier est comestible et quels sont un laurier toxique. Alors on fait le point ensemble en image.

Plus d'infos
Retour au blog